Toutes les photographies ont été prises par Patrick Blanc et leur usage doit être accompagné de leur légende et de la mention "copyright Patrick Blanc"
  • Ophiopogon sp. and Peliosanthes sinica as a mixed population in the karst forest understory, Ba Be NP, Vietnam

    Ophiopogon sp. and Peliosanthes sinica as a mixed population in the karst forest understory, Ba Be NP, Vietnam

  • Ophiopogon sp., vegetative population of erect stems with apical rosette of leaves, Ba Be NP, Vietnam

    Ophiopogon sp., vegetative population of erect stems with apical rosette of leaves, Ba Be NP, Vietnam

  • Ophiopogon sp., vegetative population, Ba Be NP, Vietnam

    Ophiopogon sp., vegetative population, Ba Be NP, Vietnam

  • Ophiopogon sp., vegetative population with apical rosette of leaves, Ba Be NP, Vietnam

    Ophiopogon sp., vegetative population with apical rosette of leaves, Ba Be NP, Vietnam

  • Ophiopogon sp., apical rosette of leaves at the top of a defoliated stem with adventitious stilt roots, Ba Be NP, Vietnam

    Ophiopogon sp., apical rosette of leaves at the top of a defoliated stem with adventitious stilt roots, Ba Be NP, Vietnam

  • Ophiopogon sp., apical rosette of leaves at the top of the defoliated stem, Ba Be NP, Vietnam

    Ophiopogon sp., apical rosette of leaves at the top of the defoliated stem, Ba Be NP, Vietnam

  • Ophiopogon sp., apical rosette of leaves at the top of the defoliated stem and axillary basal shoot emerging from the stem, Ba Be NP, Vietnam

    Ophiopogon sp., apical rosette of leaves at the top of the defoliated stem and axillary basal shoot emerging from the stem, Ba Be NP, Vietnam

  • Ophiopogon sp., young leaves emerging from the apical rosette of leaves, the blades expanding and maturing before the petioles, Ba Be NP, Vietnam

    Ophiopogon sp., young leaves emerging from the apical rosette of leaves, the blades expanding and maturing before the petioles, Ba Be NP, Vietnam

  • Ophiopogon sp., apical rosette of leaves at the top of a defoliated stem, lateral horizontal inflorescence, Ba Be NP, Vietnam

    Ophiopogon sp., apical rosette of leaves at the top of a defoliated stem, lateral horizontal inflorescence, Ba Be NP, Vietnam

  • Ophiopogon sp. with apical rosette of leaves,  inflorescence expanding horizontally, Ba Be NP, Vietnam

    Ophiopogon sp. with apical rosette of leaves, inflorescence expanding horizontally, Ba Be NP, Vietnam

  • Ophiopogon sp., rosette of petiolated leaves with wide bullate blades, Ba Be NP, Vietnam

    Ophiopogon sp., rosette of petiolated leaves with wide bullate blades, Ba Be NP, Vietnam

  • Ophiopogon sp., bullate leaf blade and petiole, Ba Be NP, Vietnam

    Ophiopogon sp., bullate leaf blade and petiole, Ba Be NP, Vietnam

  • Ophiopogon sp., prostrate rosette of long petiolate leaves with bullate blade, Ba Be NP, Vietnam

    Ophiopogon sp., prostrate rosette of long petiolate leaves with bullate blade, Ba Be NP, Vietnam

  • Ophiopogon sp., with bullate leaves, whitish lower surface of the young leaf blade with impressed dark green nerves, Ba Be NP, Vietnam

    Ophiopogon sp., with bullate leaves, whitish lower surface of the young leaf blade with impressed dark green nerves, Ba Be NP, Vietnam

  • Ophiopogon sp., seeding individual in cracks of limestone rocks in forest understory, Ba Be NP, Vietnam

    Ophiopogon sp., seeding individual in cracks of limestone rocks in forest understory, Ba Be NP, Vietnam

  • Peliosanthes cf. sinica, vegetative population, Ba Be NP, Vietnam

    Peliosanthes cf. sinica, vegetative population, Ba Be NP, Vietnam

  • Peliosanthes cf. sinica, vegetative population covering the forest floor, Ba Be NP, Vietnam

    Peliosanthes cf. sinica, vegetative population covering the forest floor, Ba Be NP, Vietnam

  • Patrick Blanc showing the succession of cataphylls and few foliage leaves along the stem of Peliosanthes cf. sinica, Ba Be NP, Vietnam, Nov. 2017

    Patrick Blanc showing the succession of cataphylls and few foliage leaves along the stem of Peliosanthes cf. sinica, Ba Be NP, Vietnam, Nov. 2017

  • Rohdea tonkinensis, vegetative population on a  karst outcrop, Ba Be NP, Vietnam

    Rohdea tonkinensis, vegetative population on a karst outcrop, Ba Be NP, Vietnam

  • Rohdea tonkinensis, vegetative population among Streblus, Costus, Alocasia, Cayratia, Ba Be NP, Vietnam

    Rohdea tonkinensis, vegetative population among Streblus, Costus, Alocasia, Cayratia, Ba Be NP, Vietnam

  • Rohdea tonkinensis, vegetative population with green defoliate stems laying horizontally on the karst outcrop surface, Ba Be NP, Vietnam

    Rohdea tonkinensis, vegetative population with green defoliate stems laying horizontally on the karst outcrop surface, Ba Be NP, Vietnam

  • Rohdea tonkinensis, vegetative population on a small karst outcrop, Ba Be NP, Vietnam

    Rohdea tonkinensis, vegetative population on a small karst outcrop, Ba Be NP, Vietnam

  • Rohdea tonkinensis, erect leafy apical part of stems and green defoliate parts laying horizontally on the karst outcrop surface, Ba Be NP, Vietnam

    Rohdea tonkinensis, erect leafy apical part of stems and green defoliate parts laying horizontally on the karst outcrop surface, Ba Be NP, Vietnam

  • Rohdea tonkinensis, green defoliate stems laying horizontally and rooting on the karst outcrop surface, Ba Be NP, Vietnam

    Rohdea tonkinensis, green defoliate stems laying horizontally and rooting on the karst outcrop surface, Ba Be NP, Vietnam

  • Rohdea tonkinensis, close up of the sheathing deeply nervurate leaf bases, Ba Be NP, Vietnam

    Rohdea tonkinensis, close up of the sheathing deeply nervurate leaf bases, Ba Be NP, Vietnam

  • Rohdea tonkinensis, developping axillary inflorescence with green leafy linear bracts, Ba Be NP, Vietnam

    Rohdea tonkinensis, developping axillary inflorescence with green leafy linear bracts, Ba Be NP, Vietnam

  • Rohdea tonkinensis, erect leafy stem with long internodes and two axillary infructescences, Ba Be NP, Vietnam

    Rohdea tonkinensis, erect leafy stem with long internodes and two axillary infructescences, Ba Be NP, Vietnam

  • Rohdea tonkinensis, long internodes, sheathing leaf bases and axillary infructescences, Ba Be NP, Vietnam

    Rohdea tonkinensis, long internodes, sheathing leaf bases and axillary infructescences, Ba Be NP, Vietnam

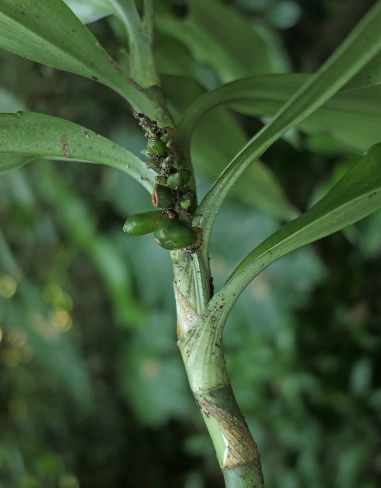
  • Rohdea tonkinensis, infructescence with green immature berries, Ba Be NP, Vietnam

    Rohdea tonkinensis, infructescence with green immature berries, Ba Be NP, Vietnam

  • Arenga caudata in karst forest understory, Ba Be NP, Vietnam

    Arenga caudata in karst forest understory, Ba Be NP, Vietnam

  • Arenga caudata, apical rosettes of leaves, Ba Be NP, Vietnam

    Arenga caudata, apical rosettes of leaves, Ba Be NP, Vietnam

  • Arenga caudata, old inflorescence spike and leaflets, Ba Be NP, Vietnam

    Arenga caudata, old inflorescence spike and leaflets, Ba Be NP, Vietnam

  • Arenga caudata, prominent leaf nervation, Ba Be NP, Vietnam

    Arenga caudata, prominent leaf nervation, Ba Be NP, Vietnam

  • Caryota monostachya, cespitose clump in perturbated primary forest, Nam Cang, Sapa, Vietnam

    Caryota monostachya, cespitose clump in perturbated primary forest, Nam Cang, Sapa, Vietnam

  • Caryota monostachya, leaf and leaflets, Nam Cang, Sapa, Vietnam

    Caryota monostachya, leaf and leaflets, Nam Cang, Sapa, Vietnam

  • Caryota monostachya, base of the cespite, Nam Cang, Sapa, Vietnam

    Caryota monostachya, base of the cespite, Nam Cang, Sapa, Vietnam

  • Caryota monostachya, hanging inflorescence with flowers just before anthesis, Nam Cang, Sapa, Vietnam

    Caryota monostachya, hanging inflorescence with flowers just before anthesis, Nam Cang, Sapa, Vietnam

  • Caryota monostachya, inflorescence with flowers just before anthesis, Nam Cang, Sapa, Vietnam

    Caryota monostachya, inflorescence with flowers just before anthesis, Nam Cang, Sapa, Vietnam

  • Steudnera cf. henryana population on vertical seeping rock, Nam Cang, Sapa, Vietnam

    Steudnera cf. henryana population on vertical seeping rock, Nam Cang, Sapa, Vietnam

  • Steudnera cf. henryana on vertical seeping rock, a drop of water excreted by hydathodes at the leaf acumen, Nam Cang, Sapa, Vietnam

    Steudnera cf. henryana on vertical seeping rock, a drop of water excreted by hydathodes at the leaf acumen, Nam Cang, Sapa, Vietnam

Pages